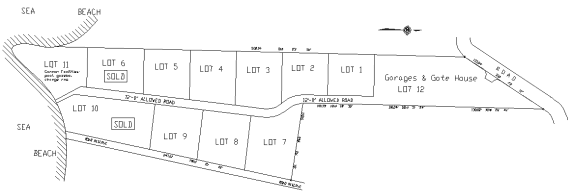
Telescope Point Villas Site Plan - click plan to enlarge.

Telescope Point Villas Site Plan - click to enlarge

© 2006, ACI Developments Inc.